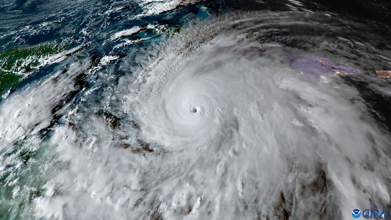
2025 Atlantik sezonunun en şiddetli tropikal siklonu olarak kayıtlara geçen Melissa Kasırgası, Karayipler’de büyük yıkıma yol açtı. Jamaika’yı vurduktan sonra 4. kategoriye gerileyen kasırga, saatte 200 kilometreyi aşan rüzgarlarla doğu Küba’ya ilerliyor.
ABD Ulusal Kasırga Merkezi (NHC), Granma, Santiago de Cuba, Guantanamo ve Holguín eyaletleriyle Bahamalar’ın bazı bölgelerinde kasırga uyarısı yaptı. Haiti ve Turks-Caicos Adaları’nda ise tropikal fırtına alarmı sürüyor.
Yetkililere göre Melissa’nın etkisiyle şu ana kadar dokuz kişi hayatını kaybetti. Üçü Jamaika’da, üçü Haiti’de, ikisi Panama’da ve biri Dominik Cumhuriyeti’nde. Küba makamları, kasırganın yönünü ve etkilerini “dakika dakika” izliyor.
Kasırganın rotasındaki Küba’da da alarma geçildi. Küba Devlet Başkanı Miguel Díaz-Canel, sosyal medya hesabından yaptığı açıklamada, kasırga nedeniyle ülkede 735 binden fazla kişinin tahliye edildiğini duyurdu. Canel, “Melissa büyük bir güçle geliyor ve arkasında büyük bir yıkım bırakmasından endişe ediyoruz.” dedi.




